Weethalle

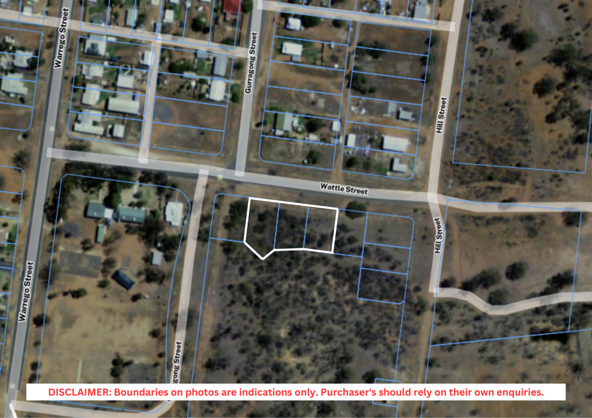
4 - 8 Wattle Street

$35,000

 

Land Size: 2773 m2 approx.

Affordable Vacant Land on the Edge of Weethalle

Vacant land parcel positioned on the edge of town, offering an opportunity for purchasers to build their home or pursue other uses (STCA).

The block comprises approximately 2,773sqm*, providing ample space and flexibility. The property features sealed road access to the front and no rear lane access. Please note the land is currently unfenced.

Conveniently located close to Weethalle Public School, with other town amenities including a café, rural supplies store, post office and country club nearby.

Particulars
Legal Description: Lot 2-4 in DP 41478
Zoning: RU5 - Village
Council: Bland Shire Council
Rates: $186.39* per annum

*Denotes approximate.

Join our mailing list and we guarantee you will be informed of properties before they hit the net.

Join our Mailing List
Submit